|
查看: 1212|回复: 7
|
这里有专业valuer吗?
[复制链接]
|
|
|
诚心指教,小弟从事房地产的,但一些久的s & p 看不到 几多x几多,这类号码你们会看吗?
 |
|
|
|
|
|
|
|
|
|
|
发表于 24-8-2011 03:43 PM
|
显示全部楼层
|
图有点蒙,看不到数目号码。。。图显示的是数目号码是以mm计算。 |
|
|
|
|
|
|
|
|
|
|

楼主 |
发表于 24-8-2011 04:04 PM
|
显示全部楼层
下载后可以zoom的。。。 1 尺等于多少mm啊? |
|
|
|
|
|
|
|
|
|
|
发表于 24-8-2011 04:41 PM
|
显示全部楼层
回复 3# mr.chong
25.4mm=1寸。自己看多少mm后再除25.4就知道多少寸,再除12就=多少尺。比如609.6mm除25.4=24寸,24寸除12=2尺。 |
|
|
|
|
|
|
|
|
|
|
发表于 24-8-2011 04:42 PM
|
显示全部楼层
下载后可以zoom的。。。 1 尺等于多少mm啊?
mr.chong 发表于 24-8-2011 04:04 PM 
一尺=304.8mm |
|
|
|
|
|
|
|
|
|
|

楼主 |
发表于 24-8-2011 07:39 PM
|
显示全部楼层
谢谢你 。。。。 帮我看埋这个,这是什么?如何算? inch,mm, feet都不是.. condo来的, 据我所知是 1100sf,
 |
|
|
|
|
|
|
|
|
|
|
发表于 24-8-2011 08:07 PM
|
显示全部楼层
谢谢你。。。。 帮我看埋这个,这是什么?如何算? inch,mm, feet都不是.. condo来的, 据我所知是 1100sf, ...
mr.chong 发表于 24-8-2011 07:39 PM 
长度44尺X25尺宽度=1100方尺 |
|
|
|
|
|
|
|
|
|
|

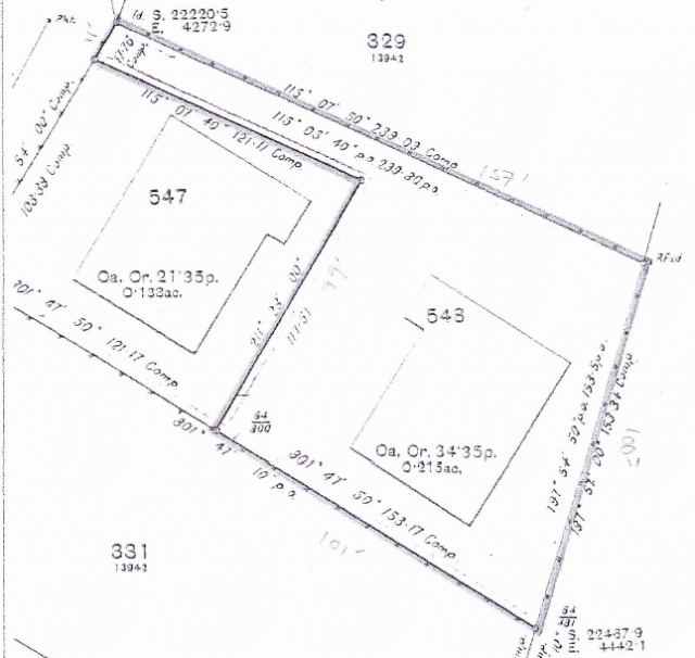
楼主 |
发表于 20-8-2013 06:01 PM
|
显示全部楼层
那位大大能帮个忙, 有块土地要算下几多x几多, feet
total 是 9351 sq sf... lot 543
 |
|
|
|
|
|
|
|
|
| |
本周最热论坛帖子
|